Koop:Getouwstraat 25, 5667 RP Geldrop - Foto
+18

Getouwstraat 25 5667 RP Geldrop € 350.000,- k.k.

  • Woonhuis
  • 5 kamers
  • 4 slaapkamers
  • 1 badkamer
  • Bouwjaar 1958
  • 188 m² perceeloppervlakte
  • 94 m² gebruiksoppervlakte

Beschrijving

VOOR MEER INFORMATIE EN FOTO'S NEEM CONTACT OP MET DE MAKELAAR OF KIJK OP DE WEBSITE

STARTERS OPGELET
Keurig nette tussenwoning met 4 slaapkamers gelegen op goede plek in “Braakhuizen Noord”

BEGANE GROND
Hal/entree met meterkast en toilet;
De wanden en het plafond van de hal zijn gegranold, de vloer is afgewerkt met laminaat.
Woonkamer (ca 17,5 m²);
De wanden van de woonkamer zijn afgewerkt met behang, het plafond is gestukadoord, de vloer is afgewerkt met tapijt.
Open keuken (ca 13 m²) met trapkast en een eenvoudig keukenmeubel zonder inbouwapparaten;
Portaal met wasmachine-aansluiting en badkamer met douche en wastafel;

EERSTE VERDIEPING
Overloop met toegang tot 4 slaapkamers.
Slaapkamer 1 aan de achterzijde ca 2.68 x 4.10 meter (ca 11 m²)
Slaapkamer 2 aan de achterzijde ca 3.20 x 3.07 meter (ca 10 m²)
Slaapkamer 3 met balkon aan de voorzijde ca 2.18 x 2.27 meter (ca 5 m²)
Slaapkamer 4 met aan de voorzijde ca 3.70 x 3.75 meter (ca 14 m²)
De wanden van de slaapkamers zijn deels gestukadoord en deels afgewerkt met behang, de plafonds zijn afgetimmerd met gipsplaten, de vloeren zijn afgewerkt met tapijt.

TWEEDE VERDIEPING
Middels vlizotrap te bereiken bergzolder met CV ketel;

BUITEN
Voortuin met planten
Achtertuin (Noord) met bestrating, planten en berging.

KENMERKEN
Bouwjaar: ca 1958
Woonoppervlakte: ca 94 m²
Overig inpandige ruimte (zolder): ca 16 m²
Perceel: 188 m²

BIJZONDERHEDEN
-Ideale starterswoning;
-Koper dient rekening te houden met kosten voor modernisering;
-omstreeks 2005 zijn de dakpannen en kozijnen vervangen;
-Rustig gelegen op goede woonstand;
-Grotendeels voorzien van dubbel glas;
-Aanvaarding in overleg;
-De getoonde tekeningen zijn indicatief en wellicht niet op schaal, hieraan kunnen geen rechten worden ontleend;
-Alle roerende zaken (incl. vloerafwerking) die bij de bezichtiging in/om de woning aanwezig zijn blijven achter;
-Voor deze woning is geen vragenlijst en lijst van zaken beschikbaar;

VERKOOP HUURWONING
Omdat het een corporatiewoning is zijn er wel enkele bijzonderheden van toepassing;
-Verkoop uitsluitend voor eigen gebruik, om dit te borgen zullen in de koopovereenkomst enkele bijzondere bepalingen worden opgenomen (oa verbod op doorverkoop, verbod op verhuur etc.);
-De “niet zelf bewoond clausule”, “ouderdomsclausule” en äsbestclausule” zullen worden opgenomen in de koopovereenkomst;
-De overdracht dient te geschieden bij Marks Wachters notarissen te Eindhoven;
-De verkoper verlangt een waarborgsom/bankgarantie van 10% van de koopsom;

VERKOOPPROCEDURE - INFORMATIE - BOD UITBRENGEN
Om te voldoen aan de wettelijke regels dienen de biedingen te worden gedaan in een afgesloten onafhankelijke, omgeving, een zogenaamd “biedlogboek”
Via het digitaal biedlogboek kunt u een bieding uitbrengen en de voorwaarden/condities vermelden.
In dit biedlogboek kunt u ook alle relevante documenten terugvinden, die betrekking hebben op het pand, zoals o.a. het energielabel, de kadastrale info, de woningbrochure etc.
U vindt deze documenten in de 'dataroom' (nadat u bent ingelogd in het digitale biedlogboek).
Als u een bezichtiging aanvraagt krijgt u in de bevestigingsmail de link naar dit digitale biedlogboek.

Kaart

Kenmerken

Overdracht

Referentienummer
00009
Vraagprijs
€ 350.000,- k.k.
Aanvaarding
In overleg
Aangeboden sinds
Woensdag 25 maart 2026

Bouw

Type object
Woonhuis, eengezinswoning, tussenwoning
Soort bouw
Bestaande bouw
Bouwperiode
1958
Dakbedekking
Dakpannen
Type dak
Zadeldak

Oppervlaktes en inhoud

Perceeloppervlakte
188 m²
Woonoppervlakte
94 m²
Woonkameroppervlakte
17,5 m²
Keukenoppervlakte
13 m²
Inhoud
360 m³
Oppervlakte overige inpandige ruimten
16 m²
Oppervlakte externe bergruimte
7 m²

Indeling

Aantal bouwlagen
3
Aantal kamers
5 (waarvan 4 slaapkamers)
Aantal badkamers
1 (en 1 apart toilet)

Locatie

Ligging
Aan rustige weg
In woonwijk

Tuin

Type
Achtertuin
Hoofdtuin
Ja
Oriëntering
Noorden
Heeft een achterom
Ja
Staat
Normaal

Uitrusting

Badkamervoorzieningen
Douche
Wastafel
Tuin aanwezig
Ja
Heeft schuur/berging
Ja

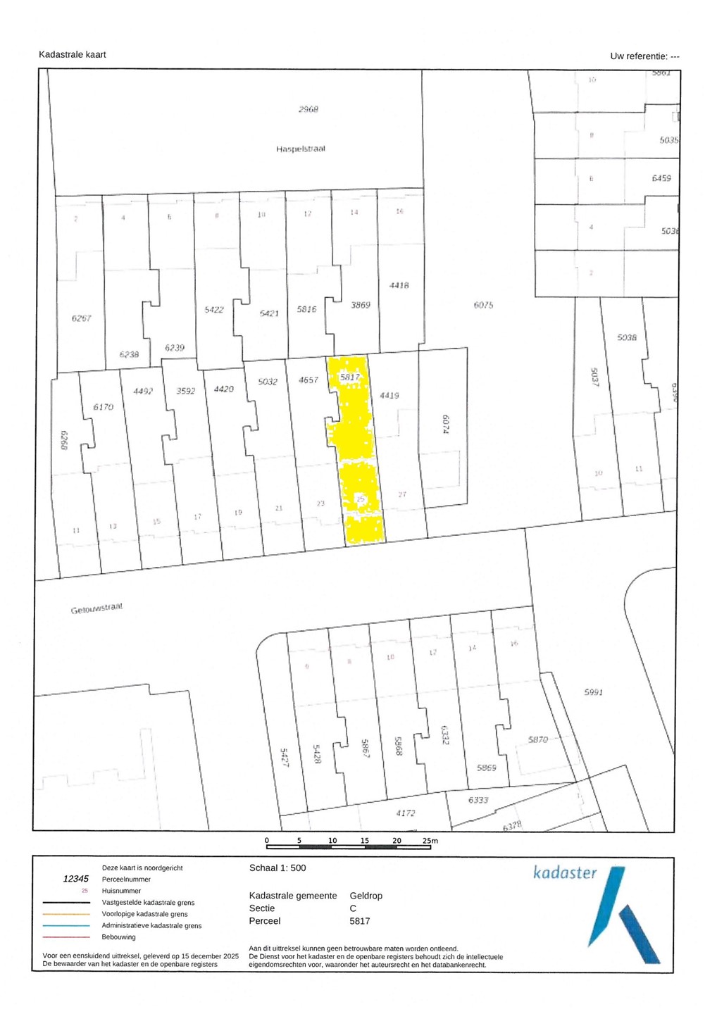
Kadastrale gegevens

Kadastrale aanduiding
Geldrop C 5817
Perceeloppervlakte
188 m²
Omvang
Geheel perceel
Eigendomsituatie
Eigen grond

Media

Plattegronden

Brochure(s) en overige bijlagen

Brochure-Getouwstraat 25.pdf Download